中央研究院/ 國家生技研究園區 生態志工園地


院區生態池 - 喬木 - 錫蘭饅頭果

錫蘭饅頭果


學名: Glochidion zeylanicum

科別: 葉下珠科


錫蘭饅頭果    2025 07 13

台灣原生種常綠喬木,小枝光滑無毛,普遍生長於北中部低海拔地區。單葉互生,葉全緣表面綠色,背面淺綠色,橢圓狀或長橢圓狀卵形,先端漸尖,基部鈍形稍呈歪斜, 葉子的基部第一對及第二對側脈對生。繖形花序,腋生具總梗, 花黃綠色無花瓣,萼片6片, 雄花生於小枝下部, 雌花生於小枝上部或同時生於小枝。雄花花梗細長,雄蕊合生;雌花花梗較短,柱頭小突凸頭狀。蒴果扁球形,直徑 約10 mm。種子紅色。花期 7~9 月。錫蘭饅頭果的葉子是雙色帶蛺蝶、眉紋天蠶蛾及寬後黃巾裳蛾幼蟲的食草。

錫蘭饅頭果

錫蘭饅頭果

葉序,單葉互生

葉序,單葉互生

葉子的基部,第一及第二對側脈對生

葉子的基部,第一及第二對側脈對生

繖形花序

繖形花序

雄花

雄花

雌花

雌花

未熟果實

未熟果實

成熟果實

成熟果實

蒴果開裂露出紅色種子

蒴果開裂露出紅色種子

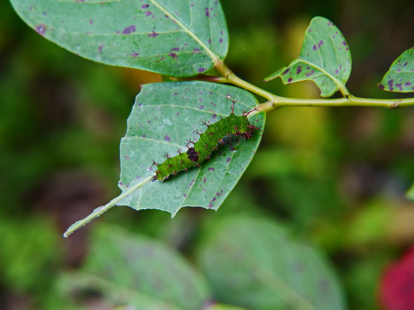
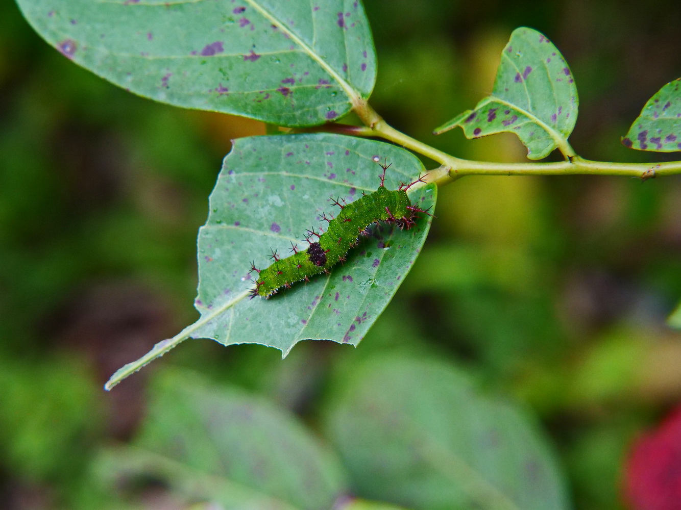
異紋帶蛺蝶幼蟲攝食錫蘭饅頭果的葉子

異紋帶蛺蝶幼蟲攝食錫蘭饅頭果的葉子

眉紋天蠶蛾幼蟲攝食錫蘭饅頭果的葉子

眉紋天蠶蛾幼蟲攝食錫蘭饅頭果的葉子

寬後黃巾裳蛾幼蟲吃光了葉子並偽裝成枝條

寬後黃巾裳蛾幼蟲吃光了葉子並偽裝成枝條


圖文: 蔡德輝