中央研究院/ 國家生技研究園區 生態志工園地


園區開放綠地 - 灌木 - 厚葉石斑木

厚葉石斑木


學名: Rhaphiolepis indica var. umbellata

科別: 薔薇科


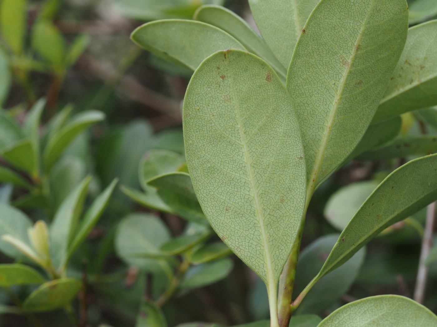
常綠小喬木或灌木,單葉,互生,厚革質,橢圓形或倒卵形,葉緣略向葉背反捲,全緣或先端疏鋸齒緣,背面脈紋清晰獨特。

總狀花序作圓錐花序狀排列,花萼筒與子房合生,裂片5,花瓣5白色,前端不整齊凹裂;雄蕊多數,花柱2-3,花初開時雄蕊的花絲白色,之後轉為紫紅色,花期在 3~5 月。

花朵會變色?新鮮的花絲是白色,慢慢轉成紫紅色,提供昆蟲辨別新鮮花朵,縮短昆蟲停留的時間。昆蟲大部份都看不到紅色,若昆蟲體色有紅色的,這些昆蟲就看的到紅色,例如蝴蝶。在昆蟲的眼裏紅色就是黑色,昆蟲利用顏色來辨別新鮮或衰老的花朵。

果實是核果,近球形,成熟時紫黑色,果期從6月幼果到11月熟果。僅分佈於北部近海岸及蘭嶼,因質地優美,成為庭園美化的植物。

內攜傳播就是動物將肉質果實吃到肚子裏,種子再排出去,主要傳播是鳥類與哺乳類,而鳥類在熱帶地區是最有效率的傳播者。自然界以綠色為主要的色調,黑色、紅色、藍色這三種成熟果實的顏色最受鳥類喜好,黑色在綠色背景當中很醒目,鳥大都白天活動,大地有光澤的,有反光的,黑色是完全不反光,反其道而行,反而會更加醒目。

常綠小喬木或灌木

常綠小喬木或灌木

單葉互生,厚革質,橢圓形或倒卵形

單葉互生,厚革質,橢圓形或倒卵形

葉緣略向葉背反捲,背面脈紋清晰獨特

葉緣略向葉背反捲,背面脈紋清晰獨特

花柱2-3叉,花瓣前端不整齊凹裂

花柱2-3叉,花瓣前端不整齊凹裂

新鮮與衰老的花朵並存,增加廣告效果

新鮮與衰老的花朵並存,增加廣告效果

花絲轉成紫紅色,辨別新鮮或衰老的花朵

花絲轉成紫紅色,辨別新鮮或衰老的花朵

果期長,可觀察果實顏色與形狀的變化

果期長,可觀察果實顏色與形狀的變化

紫黑色果實在綠色背景中,特別醒目

紫黑色果實在綠色背景中,特別醒目


圖文: 林有義